VTV đọc dự báo thời tiết sẽ tức cười kiểu như "Sức gió mạnh nhất vùng gần tâm bão mạnh trên cấp 17, giật trên cấp 17".
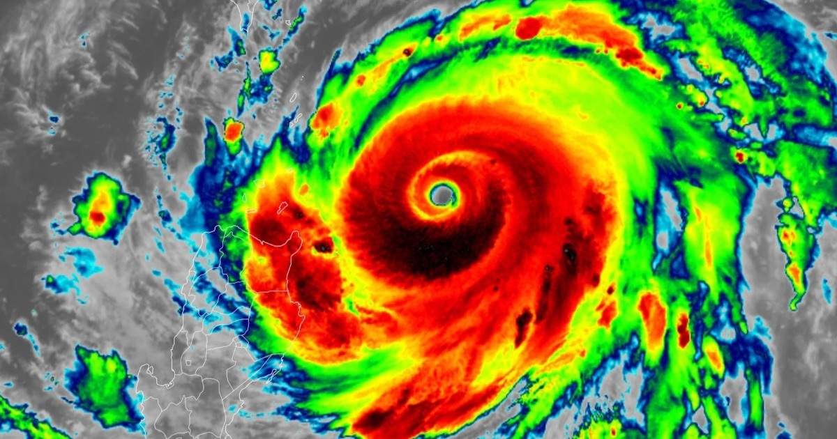
Tóm lại là không phản ánh sức mạnh của bão 270KM/H, hiện tại là cấp 20 giật cấp 21, 22..png)
dantri.com.vn
thanhnien.vn
vi.wikipedia.org
Theo Quyết định số 18/2021/QĐ-TTg của Thủ tướng Chính phủ, Bảng Cấp gió và sóng của Việt Nam gồm 18 cấp Beaufort, từ cấp 0 đến cấp 17.[4] Có một số đề xuất về thang bão trên cấp 17 ở Việt Nam, nhưng chưa được Trung ương, Chính phủ và Tổng cục Khí tượng Thủy văn công nhận, áp dụng trên toàn quốc trong văn bản quy phạm pháp luật nên không được sử dụng. Chính vì vậy, theo đúng Quyết định của Chính phủ (mới nhất ngày 22 tháng 4 năm 2021), văn bản có hiệu lực pháp lý cao nhất cho đến hiện tại và Luật Khí tượng Thủy văn 2015[19], thang sức gió của Việt Nam là thang sức gió Beaufort mở rộng chỉ dùng đến cấp 17.[4]
zoom.earth
Tóm lại là không phản ánh sức mạnh của bão 270KM/H, hiện tại là cấp 20 giật cấp 21, 22.
Ragasa trở thành bão mạnh nhất thế giới kể từ đầu năm
(Dân trí) - Với sức gió duy trì lên tới 270km/h trong một khoảng thời gian ngắn, Ragasa trở thành cơn bão mạnh nhất trên Trái Đất kể từ đầu năm nay.
Đêm qua, siêu bão Ragasa gây mưa lớn gần 100 mm ở TP.HCM
Khuya qua, do ảnh hưởng của siêu bão Ragasa tại TP.HCM xuất hiện mưa lớn gần 100 mm. Sáng sớm nay, mây giông tiếp tục phát triển gây mưa tại nhiều khu vực. Dự báo đợt mưa lớn ở TP.HCM và Nam bộ sẽ còn kéo dài đến ngày 25.9.
Thang sức gió Beaufort – Wikipedia tiếng Việt
Zoom Earth | Weather Map & Hurricane Tracker
Interactive world weather map. Track hurricanes, cyclones, storms. View LIVE satellite images, rain maps, forecast maps of wind, temperature for your location.
Sửa lần cuối:



