Dr. Pepe
Xamer mới lớn
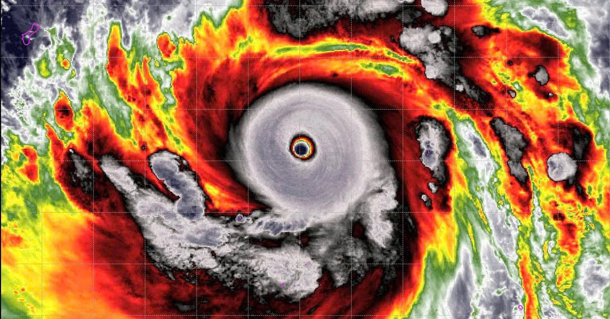
Tối 12-4, sức gió vùng tâm siêu bão Sinlaku đã tăng lên 190km/h, tương đương cấp 16, giật trên cấp 17. Đây là lần thứ ba kể từ năm 1977, khu vực tây bắc Thái Bình Dương mới xuất hiện một siêu bão trong tháng 4.
Sinlaku mạnh lên thành siêu bão, mạnh nhất thế giới từ đầu năm
Tối 12-4, sức gió vùng tâm siêu bão Sinlaku đã tăng lên 190km/h, tương đương cấp 16, giật trên cấp 17. Đây là lần thứ ba kể từ năm 1977, khu vực tây bắc Thái Bình Dương mới xuất hiện một siêu bão trong tháng 4.
